分类错误!
关于抚顺市自然资源局高新技术产业开发区分局对抚顺伦成技术工程有限公司化工装备检验检测项目修建性详细规划调整的公示
来源:抚顺市自然资源局高新区分局浏览:5635次'时间:2024年1月29日

项目名称:抚顺伦成技术工程有限公司化工装备检验检测项目修建性详细规划

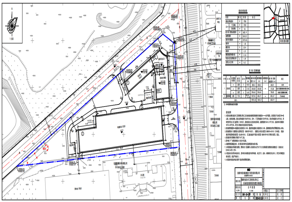
工程概括:抚顺伦成技术工程有限公司建设的化工装备检验检测项目,位于抚顺市东洲区高新园区颐通街5号。此次对检测车间、综合楼的建筑面积、容积率、占地面积进行调整。

1.原检测车间,建筑面积4994.64平方米,容积率计算面积9989.28平方米,占地面积4994.61平方米。调整后,建筑面积4964.19平方米,容积率计算面积9527.34平方米,占地面积4763.67平方米。

2.原综合楼,建筑面积8497.2平方米,容积率计算面积8497.2平方米。调整后,建筑面积8649.02平方米,容积率计算面积8649.02平方米,占地面积1768.52平方米。

3.原一层守卫室建筑面积30平方米。调整后不建设。 

原规划总建筑面积13521.84平方米,容积率计算面积18516.48平方米。调整后总建筑面积13613.21平方米,容积率计算面积18176.36平方米。 

对已审批的建第字210403201400035《建设工程规划许可证》进行变更。

建设单位: 抚顺伦成技术工程有限公司

设计单位:抚顺华晟有色冶金设计院、抚顺市自然资源局高新技术产业开发区分局

监督电话:57901053

公示日期:2024年01月29日至2024年02月05日

20240129111145.png

20240129155133.png